彦根市の物件は丸三不動産にお任せください!様々な条件からぴったりの物件をお探しいただけます。

店舗・事務所物件ID:000613-001

  • 情報更新日:2025年09月25日

平田町テナントオフィス

  • 66万円
  • 敷金- / 礼金-
  • 彦根市平田町6区画
  • JR東海道線 南彦根駅 徒歩28分

  • 218.73m² (66.16坪)

  • 2011年06月

  • 空有

学習塾・医療機関に最適です!

外観写真・内観写真

 

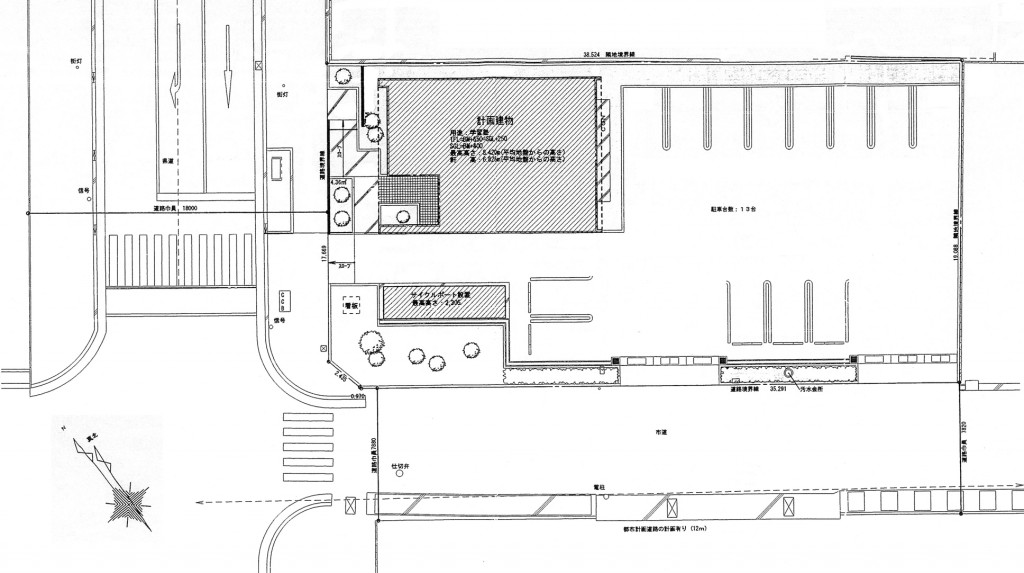
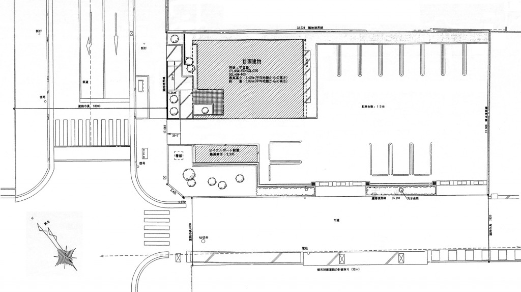
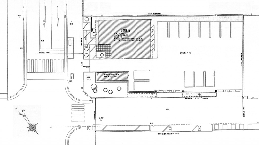
間取図

物件概要

現状 入居可(契約可) 引渡 即時
敷金 - 礼金 -
保証金 6.00ヶ月 更新料 -
契約期間 10年 共益費 -
所在階/建階数 - / 2階建 専有面積 218.73m² (66.16坪)
間取り 6区画 建物構造 鉄骨造
駐車場 / 駐車料 空有 / - 取引態様 仲介
その他費用 -
設備・条件 事務所可/水道:公営/排水:下水/バス無/専用トイレ/IHコンロ付き/専用キッチン/一口コンロ/電気給湯/エアコン/駐輪場/電話無(設置可)/電気有り/保証人要
小学校区 平田小学校
備考 学習塾・医療機関に最適です!
※飲食不可 ※駐車場13台分駐車可能 ※賃貸保証委託契約費用(初回保証委託料:月額支払い金額の100%、継続保証委託料:毎年、月額賃料の10%) ※既存のエアコン等の諸設備は前所有者が取り付けたものであり使用できるまではご利用頂いても結構ですが、修理維持管理は借主にて行うことを条件とする

物件所在マップ

周辺施設
※情報更新のタイミング上、地図の施設情報は実際と異なる場合や、最新情報に更新されていない場合もございます。