彦根市の物件は丸三不動産にお任せください!様々な条件からぴったりの物件をお探しいただけます。

中古戸建物件ID:014127

  • 情報更新日:2025年07月05日

彦根市地蔵町

  • 500万円 @2.50万/坪
  • 彦根市地蔵町 3DK
  • JR東海道線 彦根駅 徒歩33分

  • 59.59m² 

  • 1975年月 

外観写真・内観写真

 

間取図

物件概要

現況 空家 引渡 相談
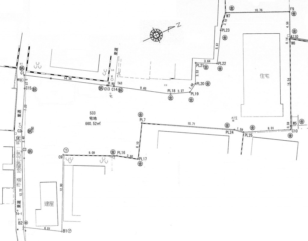
土地面積 660.52m²(199.8坪) 建物面積 -
延べ床面積 59.59m² 建物階数 1階建
建物構造 木造 接道状況 一方(接道方向:南西)
地目 宅地 用途地域 第一種住居地域
建ぺい率 60% 容積率 200%
都市計画 市街化区域 土地権利 所有権
国土法 不要 取引形態 専任
駐車場/料金 空有/- その他費用 -
小学校区 旭森小学校
設備・条件 水道:公営/ガス:プロパン/排水:下水/専用バス/ガス給湯/ウォシュレット/電気有り
備考 ※現状有姿取引(境界確定済、居宅の屋根に不具合有、プレハブ小屋有、残置物有) ※売主の負う契約不適合責任は免責とします ※建物は未登記です

物件所在マップ

周辺施設
※情報更新のタイミング上、地図の施設情報は実際と異なる場合や、最新情報に更新されていない場合もございます。

ローンシミュレーション