
現況 | 空家 | 引渡 | 相談 |
---|---|---|---|
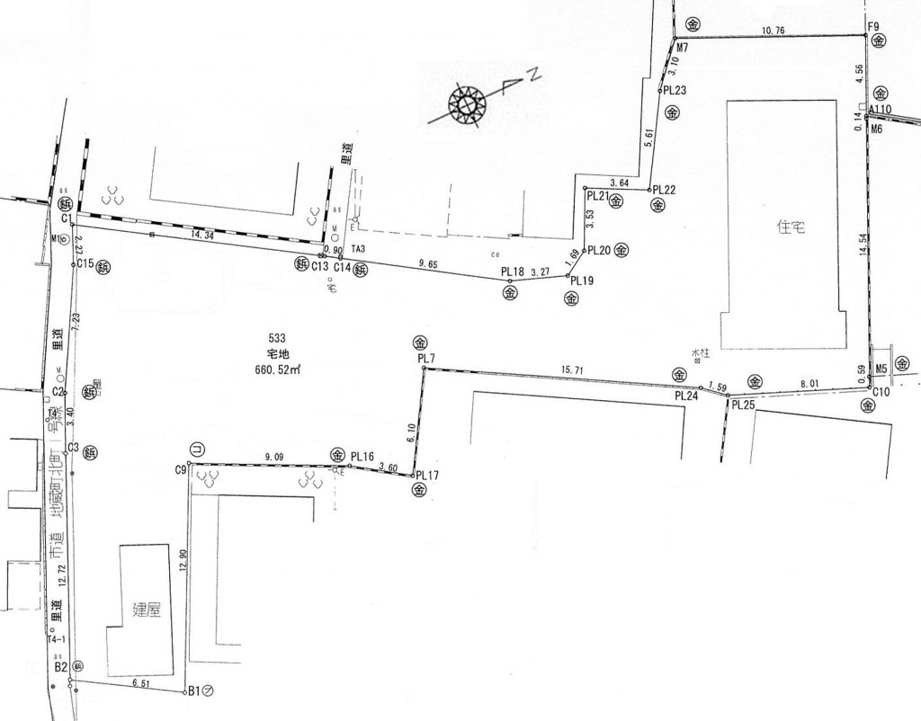
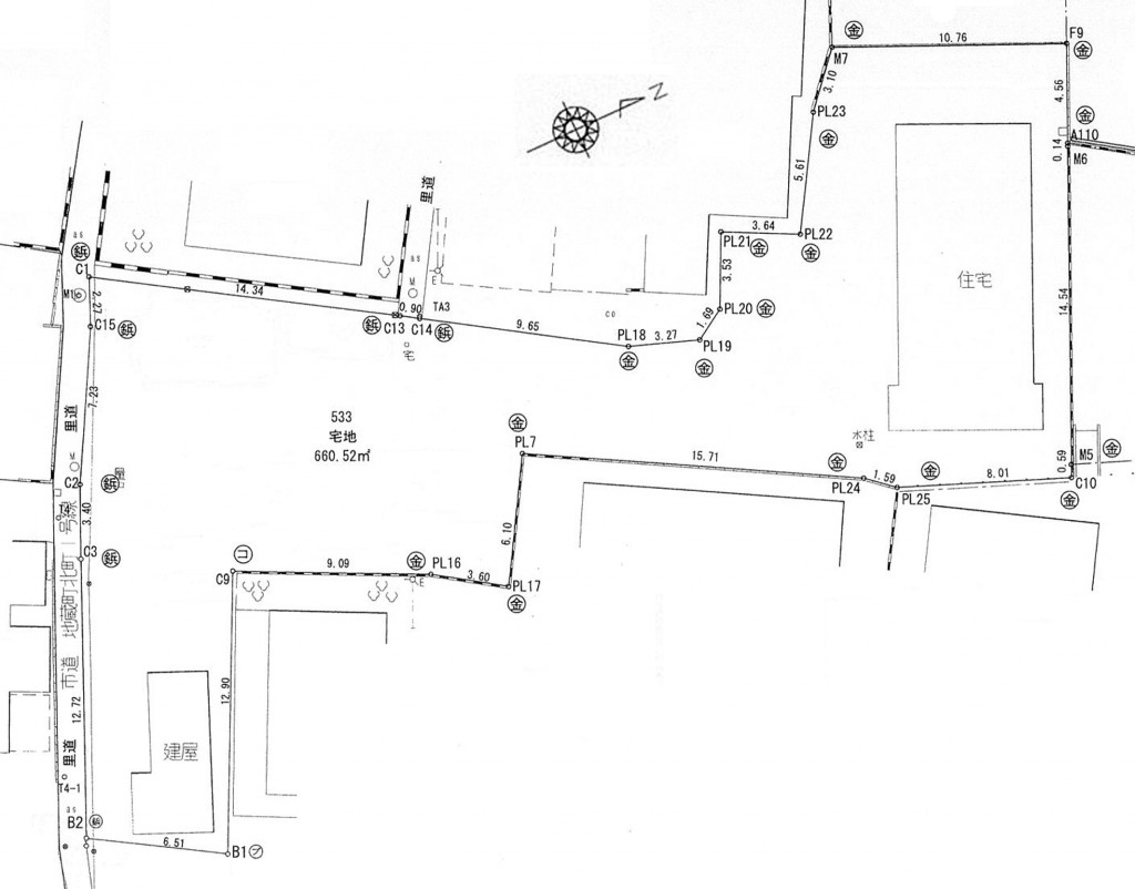
土地面積 | 660.52m²(199.8坪) | 建物面積 | - |
延べ床面積 | 59.59m² | 建物階数 | 1階建 |
建物構造 | 木造 | 接道状況 | 一方(接道方向:南西) |
地目 | 宅地 | 用途地域 | 第一種住居地域 |
建ぺい率 | 60% | 容積率 | 200% |
都市計画 | 市街化区域 | 土地権利 | 所有権 |
国土法 | 不要 | 取引形態 | 専任 |
駐車場/料金 | 空有/- | その他費用 | - |
小学校区 | 旭森小学校 | ||
設備・条件 | 水道:公営/ガス:プロパン/排水:下水/専用バス/ガス給湯/ウォシュレット/電気有り | ||
備考 | ※現状有姿取引(境界確定済、居宅の屋根に不具合有、プレハブ小屋有、残置物有) ※売主の負う契約不適合責任は免責とします ※建物は未登記です |
周辺施設 | |||
---|---|---|---|